Cart-icon1
ezüstös pikkelyke

Ezüstös pikkelyke

Ezüstös pikkelyke – az ősrovar “Szinte minden fürdőszobában találkozhatunk vele!” Ezüstös pikkelyke: Jellemzően 5-10 mm hosszúságúak. Nevét testét borító szürke, fénylő pikkelyeiről kapta. Szokták még ezüstös ősrovarnak is nevezni. Testalkata vízcsepp formájú. Villás “farokkal”, elől pedig kisebb-nagyobb csápokkal rendelkezik. Teljesen szárnytalan rovar. Az ezüstös pikkelyke 2-5 évig él. Rejtőzködő életmódot folytat. Csak szürkületben éjjel jön […]

Tovább

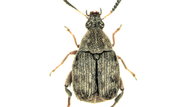
Babzsizsik

Babzsizsik

babzsizsik Ez egy Figyelmeztetés MÉRET: 2- 5 mm SZÍN: Barna/fekete LÁB: 3 pár Ez egy gyakori élelmiszer kártevő, ami a babban, és egyéb hüvelyes magvakban szokott megtelepedni. Ott lehet a borsóban, lencsében, de még a szójában is. A babzsizsik külsőre 2-5 mm hosszú, tömzsi testű, “antennás” rovar. A fertőzött élelmiszerek felkutatásával, a tiszták műanyag tárolóban […]

Tovább

kullancs

Kullancs

Kullancs tények & tévhitek A kullancs talán a legközismertebb “rovarok” egyike, létét azonban mégis óriási tévhitek övezik. Még a kullancs szakszerű eltávolítása körül is vannak félreértések. Félreértések, amik akár kórházba is juttathatják Önt. Most bevezetjük Önt a kullancs-ismeretek kulisszái mögé. Lerántjuk a leplet az óriási tévhitekről, és megmutatjuk mitől olyan érdekes valójában a kullancs, és […]

Tovább

hangya

Hangya

A hangyák otthonainkban A hangyák nem kevés bosszúságot okoznak azzal, hogy birtokba veszik otthonunkat. Az ember ösztönösen irtózik még a gondolatától is annak, hogy lakását rovarokkal ossza meg. A lakásban vagy a kertben nyüzsgő hangyák sokakban félelmet, viszolygást keltenek. Ezeket a kis termetű, hártyás szárnyú rovarokat a sarkvidékek kivételével szinte minden szárazföldi élőhelyen megtaláljuk. A […]

Tovább

Darázs

Darázs: lenyűgöző és halálos Darázs-lexikon: minden, amit egy családi ház tulajdonosnak kötelező tudni a darazsakról, a hatékony túlélés érdekében A darázs Jellemzően 15-20 mm hosszúságúak, de fajtól függően méretük elérheti akár a 50 mm-t is. A darázs testfelépítésre legfőképp a hangyára hasonlít, de életmódja inkább a méhhel mutat szoros kapcsolatot. Hártyás szárnyú rovar, melyeket nyugalmi […]

Tovább

bolha

Bolha

BOLHA Ez egy Figyelmeztetés MÉRET: 1- 4 mm SZÍN: Sötétbarna/Fekete LÁB: 3 pár A bolha egy 1-4 mm sötétbarna, már-már fekete színű szárnytalan, remekül ugró vérszívó rovar. A lakásban általában háziállat által kerül be, de akár nélkülük is összeszedhetjük, ha fertőzött helyen megyünk át. A bolhát szokás a gazdatestről elnevezni, vagyis aszerint, hogy kinek a […]

Tovább

Minket is utolért az áremelés


"A mai világban ritka az ennyire korrekt, precíz, profi cég mint az Abatox Kft. " - K. Judit.

Annak érdekében, hogy fenntartsuk, sőt emelni tudjuk a kártevőirtási szolgáltatásunk színvonalát, melyet ügyfeleink 4.8/5-re értékelnek, kénytelen vagyunk árat emelni. Költségeink az évek alatt jelentősen megugrottak, de kitartottunk. Ezidáig. Egyes áraink már 4 éve változatlanok. Sajnos tovább már nem várhatunk.

Az áremelés a webshopban kapható termékeket nem fogja érinteni.